ขายที่ดินเปล่า 6 ไร่ ต.ยี่สาร อ.อัมพวา จ.สมุทรสงคราม
ขายที่ดินเปล่า 6 ไร่
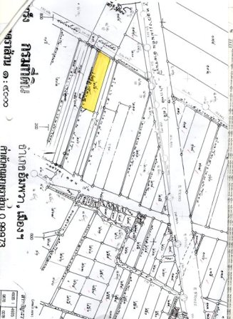
อยู่ห่างถนนพระราม 2 ประมาณ150 เมตร ต.ยี่สาร อ.อัมพวา จ.สมุทรสงคราม หน้าติดถนนคลองโคน-บางตะบูน (3057)ถนนโครงการสีขาวลัดไปชะอำ เหมาะแก่การทำหอพัก โรงแรม โรงงาน โกดัง ที่เป็นสีเหลี่ยมผืนผ้าติดถนนสองด้าน ตัวที่ต่ำกว่าถนนนิดหน่อยถมไม่มาก ราคาไร่ละ 950,000 บาท
สนใจติดต่อ โทร .081-901-1587
![]() | ![]() | ![]() | |||
![]() | ![]() | ![]() |
| ราคา: | 5,700,000 | ต้องการ: | ขาย/ให้เช่า/แลก | ||
| ติดต่อ: | พง | อีเมล์: | |||
| สภาพ: | มือสอง | จังหวัด: | สมุทรสงคราม | ||
| โทรศัพย์: | 0819011587 | IP Address: | 101.108.139.93 | ||
| คำค้น: | |||||






