*******ขายที่ดินจัดสรร 200 ตรว. ถมแล้ว ใกล้วัดลาดปลาดุก ซอยเพิ่มทรัพย์ 31/3 ต.หนองเพลางาย อ.บางบัวทอง จ.นนทบุรี ที่ดินสวย ในอนาคตมีรถไฟฟ้า ราคา 650,000 บาท (ต่ำกว่าราคาประเมิน) ติดต่อ 086-3143508 หรือ 081-6270655
*******ขายที่ดินจัดสรร 200 ตรว. ถมแล้ว
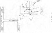
ใกล้วัดลาดปลาดุก ซอยเพิ่มทรัพย์ 31/3 ต.หนองเพลางาย อ.บางบัวทอง จ.นนทบุรี
ที่ดินสวย ในอนาคตมีรถไฟฟ้า
ราคา 650,000 บาท (ต่ำกว่าราคาประเมิน)
ติดต่อ 086-3143508 หรือ 081-6270655
![]() | ![]() | ![]() | |||
![]() | ![]() | ![]() |
| ราคา: | 650,000 | ต้องการ: | ขาย/ให้เช่า/แลก | ||
| ติดต่อ: | ซ้ง | อีเมล์: | |||
| สภาพ: | ใหม่ | จังหวัด: | นนทบุรี | ||
| โทรศัพย์: | 089-1703293 หรือ 081-6270655 | IP Address: | 115.87.131.66 | ||
| คำค้น: | |||||






