ขายที่ดิน 2 ไร่ ยังไม่ได้ถม หน้ากว้าง 40 เมตร พื้นที่สีส้ม ถนนคอนกรีตกว้าง อยู่ถนนบางนา-ตราด กม.ที่ 6 ซอยโรงพยาบาลปิยะมินทร์ เหมาะสร้างบ้าน คอนโด อพาร์ทเม้นท์ และออฟฟิต อยู่เขตบางพลี จ.สมุทรปราการ ขายตารางวาละ 41,250 บาท (ไร่ละ16.5ล้าน)*ต่อรองได้*
1.HOT!!ขายที่ดิน432 ตารางวา(3 โฉนดแบ่งขายได้โฉนดละ144ตารางวา)หน้ากว้าง 55 เมตร
ลึก 35 เมตร ถนนโชคชัยจงจำเริญ เข้า-ออกได้หลายทาง สิ่งแวดล้อมดี เหมาะทำสำนักงาน
โฮมออฟฟิต ทาวน์เฮ้าน์ อาคารพานิชย์ ปลูกบ้าน โชว์รูมและค้าขาย เขตยานนาวา
ขายตารางวาละ 135,000 บาท NET.
2.HOT!!ขายหอพัก 44 ห้อง สูง 4 ชั้น(ค่าเช่าเดือนละ 2,000 บาท)+มีบ้าน 1 หลัง + และร้านค้า
**เนื้อที่ 348 ตารางวา**อยู่ซอยนาคสุวรรณ เขตยานนาวา ขาย 30 ล้านบาท
3.HOT!!ขายแฟลต 3 ชั้น38ห้อง(ค่าเช่า2,000บาทและ2,500บาท)+บ้านครึ่งตึกครึ่งไม้ 1 หลัง
**เนื้อที่ดิน238ตารางวา** ซอยสาธุประดิษฐ์ 34 เขตยานนาวาขาย 28 ล้านบาท
4.ที่ดินเปล่า 214 ตารางวา (ถมแล้ว) ซอยนาคสุวรรณ เขตยานนาวา
ขายตารางวาละ 100,000 บาท
5.HOT!!ขายที่ดิน 20-3-48 ไร่ (ถมแล้ว)หน้ากว้างติดถนนยานนาวา100 เมตร
ด้านหลังติดถนนนนทรี แปลงนี้สวยมากๆ เหมาะทำโครงการ เขตยานนาวา
ขายตารางวาละ 90,000 บาท HOT!!
6.HOT!!ขายที่ดิน 6 ไร่เศษ (ถมแล้ว)หน้ากว้าง 80 เมตร สวยมากๆ
ติดถนนวงแหวนอุตสาหกรรม ใกล้ถนนพระราม 3 แปลงนี้เหมาทำโครงการ
สร้างคอนโดสูง โชว์รูมและอาคารสำนักงาน เขตยานนาวา
ขายตารางวาละ 120,000 บาท NET.
------------------------------------------------------------------------------------------------------------------
1.ขายที่ดิน 3-1-11ไร่ ซอยพหลโยธิน 23 ทำเลดีมากๆ แปลงนี้เข้าซอยประมาณ
700 เมตร เป็นพื้นที่สีส้ม เหมาะปลูกบ้าน และคอนโดมิเนี่ยม เขตจตุจักร
ขายตารางวาละ 100,000 บาท
2.ขายที่ดิน3-3-27ไร่ (แปลงน้สวยมากๆ) ที่ดินหน้ากว้าง 80 เมตร พื้นที่สีส้ม
อนาตคมีรถไฟฟ้าผ่านแน่นอน ซอยพหลโยธิน 23 ใกล้โรงเรียนหอวัง
ใกล้เมเจอร์รัชโยธิน และโรงเรียนหอวัง แปลงนี้เหมาะสร้างคอนโดมิเนี่ยม โฮมออฟฟิต
และบ้านหรูๆ เข้าซอยไม่ลึก เขตจตุจักร ขายตารางวาละ 130,000บาท NET.
3.ขายที่ดิน 5-1-26 ไร่(ที่ดินหน้ากว้าง153เมตร) อยู่ถนนเกษตร-นวมินทร์ช่วงต่อขยาย
ทางหลวงหมายเลข351 เหมาะทำโชว์รูมทุกชนิด ร้านอาหาร หรือร้านตกแต่งรถยนต์
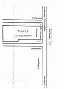
ค้าขายทุกชนิด เขตบึงกุ่ม ขายตารางวาละ 45,000บาท(มีผังและแผนที่โดยสังเขป)
4.ขายที่ดิน 929 ตารางวา ติดถนนเกษตร-นวมินทร์ (หน้ากว้าง 65 เมตร)สวยมากๆทำเลดี
เหมาะทำโชว์รูม คอนโดมิเนี่ยม อาคารสำนักงาน และเต้นท์รถยนต์ เยื้องๆโชว์รูมฮอนด้า
เขตลาดพร้าว ขายตารางวาละ 120,000บาท
5.HOT!ขายที่ดิน 190 ตรว.(ถมแล้ว)แปลงนี้จัดว่าสวยมาก และสิ่งแวดล้อมดีมาก
ติดถนนคอนกรีต 2 ด้าน เหมาะปลูกบ้าน อยู่ถนนประชาชื่น เข้าซอย 350 เมตร
ต้องการขายด่วน! ขายตารางวาละ 35,000 บาท
6.ขายที่ดิน11-3-77ไร่หน้ากว้าง158เมตร พื้นที่สีส้ม ถนนคอนกรีตกว้าง
อยู่ถนนบางนาตราด กม.ที่ 6 ใกล้โรงพยาบาลปิยมิทร์ ห่างถนนบางนา-ตราด 300 เมตร
สิ่งแวดล้อมดีมากๆ เหมาทำจัดสรร โรงแรม โรงเรียน และสนามไดร์ฟกอล์ฟ
อยู่เขตบางพลี จ.สมุทรปราการ ขายตารางวาละ 42,000 บาท HOT!!
***แปลงนี้ถมแล้วสวยมากๆ*** ต่อรองได้
7.ขายที่ดิน 2 ไร่ ยังไม่ได้ถม หน้ากว้าง 40 เมตร พื้นที่สีส้ม ถนนคอนกรีตกว้าง
อยู่ถนนบางนา-ตราด กม.ที่ 6 ซอยโรงพยาบาลปิยะมินทร์ เหมาะสร้างบ้าน
คอนโด อพาร์ทเม้นท์ และออฟฟิต สำนักงาน อยู่เขตบางพลี จ.สมุทรปราการ
ขายตารางวาละ 41,250 บาท (ไร่ละ 16.5 ล้าน) ค่อรองได้
8.ขายที่ดิน 3-2-20ไร่ (ถมแล้ว) ซอยวัชรพล ใกล้วัดศิริพงษ์ ใกล้ตลาดถนอมมิตร
ใกล้เสถียรธรรมสถาน เหมาะปลูกบ้าน สร้างอพาร์ทเม้นท์ ออฟฟิตและโกดัง
หรือทำทาวน์เฮ้าส์โครงการเล็กๆขาย หรือร้านอาหารและค้าขายทุกชนิด
เขตบางเขน ขายตารางวาละ 35,000บาท
9.ขายที่ดินเปล่า 404 ตารางวา หน้ากว้าง 55 เมตร(ซอยแจ่มจันทร์)ถนนเกษตร-นวมินทร์
แขวงบึงกุ่ม เขตบางกะปิ เหมาะปลูกบ้าน อพาร์ทเม้นท์ ออฟฟิตโกดัง สำนักงาน
(แปลงนี้สวยมากๆ สิ่งแวดล้อมดี เข้า-ออกได้หลายทาง) ขายตารางวาละ 38,000บาท
10.ขายที่ดิน 2ไร่ 27ตารางวา (ถมไป85%) อยู่ซอยลาดพร้าว 122 เหมาะปลูกบ้าน
อพาร์ทเม้นท์ และคอนโดมิเนี่ยม ทำเลดีมาก เขตบางกะปิ ขายตารางวาละ 50,000 บาท
11.ขายที่ดิน 643 ตารางวา ถนนเกษตร-นวมินทร์ ซอยแจ่มจันทร์ เข้าซอยไม่ลึก
เหมาะปลูกบ้าน ทำหอพักหรือบ้านเช่า โกดังหรือออฟฟิต อู่ซ่อมรถยนต์
แขวงบึงกุ่ม เขตบางกะปิ ขายตารางวาละ19,000 บาท HOT!!(แปลงนี้ถูกมากๆ)
12.ขายที่ดิน32-1-25ไร่(ถมแล้วบางส่วน)ถนนรามคำแหง(สุขาภิบาล 3)
ที่ดินหน้ากว้าง 92 เมตรใกล้หมู่บ้านปรีชา เหมาะทำบ้านจัดสรร
แขวงสะพานสูง เขตบึงกุ่ม ขายตารางวาละ 29,000 บาท
13.ขายที่ดิน 8-3-74ไร่ ติดถนนรามคำแหง (สุขาภิบาล 3) ที่ดินหน้ากว้าง 56 เมตร
ใกล้ธนาคารกสิกรไทย เหมาะทำโชว์รูม ร้านวัสดุก่อสร้าง ปั๊มน้ำมัน และเต้นท์รถยนต์
แขวงสะพานสูง เขตบึงกุ่ม ขายตารางวาละ 55,000 บาท
14.ขายที่ดิน24-0-64ไร่ (หน้ากว้าง 62 เมตร) ลึก580 เมตร อยู่ถนนสายไหม ทำเลดี
เหมาะทำบ้านจัดสรร ถนนหน้าที่ดินกว้าง 16 เมตร เขตบางเขน ขายตารางวาละ 16,000บาท
15.ขายที่ดิน12-2-54ไร่ (ถมแล้วบางส่วน) ที่ดินหน้ากว้าง 80 เมตร ถนนสุขาภิบาล3
ซอยมิสทีน (เข้าซอยไม่ลึก) ที่ดินแปลงนี้สวยมากๆ เหมาะทำบ้านจัดสรร สนามไดร์ฟกอล์ฟ
สนามฟุตบอลหรือสนามกีฬาให้เช่า เขตบึงกุ่ม ขายเหมา 130 ล้านบาท(ตรว.ละ25,723บาท)
16.ขายที่ดิน 27 ไร่ ยังไม่ถม((หน้ากว้าง164เมตร ติดถนนราษฏร์พัฒนา)) เข้าตรงซอยมิสทีน
ถนนสุขาภิบาล 3(ถนนนี้กว้าง 16 เมตร) เยื้องห้างคาร์ฟูร์ และการเคหะร่มเกล้า
เลยสำนักงานที่ดินบึงกุ่มไปประมาณ 1 กม.เศษ ตำบลคลองสองต้นนุ่น
อ.ลาดกระบัง กทม. เหมาะทำบ้านจัดสรร ขายไร่ละ 8 ล้านบาท
17.ขายที่ดิน 380 ตารางวา(ถมแล้ว)สวยมากๆ สิ่งแวดล้อมดี ซอยสังคมสงเคราะห์ 6
(ซอยจักรกฤษ10 เดิม)อยู่ถนนลาดพร้าว ซอย71ใกล้ถนนเลียบทางด่วนเอกมัย-รามอินทรา
ใกล้ห้างTESCO LOTUS และโฮมโปร เหมาะปลูกบ้านและทำออฟฟิต เขตลาดพร้าว
ขายเหมา 20 ล้านบาท(ตารางวาละ52,631บาท) ต่อรองได้นิดหน่อย แปลงนี้สวย
(มีแผนที่)
18. ขายที่ดิน2-1-47ไร่ ถมแล้ว สวยมากๆ อยู่ถนนนวมินทร์ เข้าซอยประมาณ 50 เมตร
เหมาะทำอาคารพานิชย์ ทาวน์เฮ้าส์ สำนักงาน หรือปลูกบ้าน(ที่ดินหน้ากว้างประมาณ175เมตร)
ลึก 24 เมตร แขวงบึงกุ่ม เขตบางกะปิ ขายตารางวาละ 45,000 บาท ต่อรองได้
19.ขายที่ดิน 35 ไร่ (หน้ากว้างติดแม่น้ำนครชัยศรี 200 เมตร) สวยมากๆ
เหมาทำโฮมสเตรย์ หรือโครงการบ้านพักคนชรา ทำรีสอร์ท (ไม่แบ่งขาย)
อ.นครชัยศรี จ.นครปฐม ขายไร่ละ 3,000,000 บาท NET.
สนใจโทร : 081-9072032 คุณตุ๊ก (งดนายหน้า)
![]() | ![]() | ![]() | |||
![]() | ![]() | ![]() |
| ราคา: | น่าสนใจ 26 รายการลอง"คลิ๊ก"ดูรายละเอียดด้านในค่ะ | ต้องการ: | ขาย/ให้เช่า/แลก | ||
| ติดต่อ: | ตุ๊ก | อีเมล์: | |||
| สภาพ: | ใหม่ | จังหวัด: | สมุทรปราการ | ||
| โทรศัพย์: | 081-9072032, 081-8470258 ดร.นาดี | IP Address: | 111.84.19.200 | ||
| คำค้น: | |||||






