ขายที่ดิน2-1-74ไร่(หน้ากว้าง175เมตรลึก 24เมตร)ถมแล้วสวยมากๆ ถนนนวมินทร์ เข้าซอยนวมินทร์ 60เมตร เหมาะทำอาคารพานิชย์ขาย,ปลูกบ้าน,และทำทาวน์เฮ้าขาย แขวงบึงกุ่ม เขตบางกะปิ ขายตารางวาละ 45,000 บาทHOT!ต่อรองได้
1.HOT!!ขายที่ดิน432 ตารางวา(3 โฉนดแบ่งขายได้โฉนดละ144ตารางวา)หน้ากว้าง 55 เมตร
ลึก 35 เมตร ถนนโชคชัยจงจำเริญ เข้า-ออกได้หลายทาง สิ่งแวดล้อมดี เหมาะทำสำนักงาน
โฮมออฟฟิต ทาวน์เฮ้าน์ อาคารพานิชย์ ปลูกบ้าน โชว์รูมและค้าขาย เขตยานนาวา
ขายตารางวาละ 135,000 บาท NET.
2.HOT!!ขายหอพัก 44 ห้อง สูง 4 ชั้น(ค่าเช่าเดือนละ 2,000 บาท)+มีบ้าน 1 หลัง + และร้านค้า
**เนื้อที่ 348 ตารางวา**อยู่ซอยนาคสุวรรณ เขตยานนาวา ขาย 30 ล้านบาท
3.HOT!!ขายแฟลต 3 ชั้น38ห้อง(ค่าเช่า2,000บาทและ2,500บาท)+บ้านครึ่งตึกครึ่งไม้ 1 หลัง
**เนื้อที่ดิน238ตารางวา** ซอยสาธุประดิษฐ์ 34 เขตยานนาวาขาย 28 ล้านบาท
4.ที่ดินเปล่า 214 ตารางวา (ถมแล้ว) ซอยนาคสุวรรณ เขตยานนาวา
ขายตารางวาละ 100,000 บาท
5.HOT!!ขายที่ดิน 20-3-48 ไร่ (ถมแล้ว)หน้ากว้างติดถนนยานนาวา100 เมตร
ด้านหลังติดถนนนนทรี แปลงนี้สวยมากๆ เหมาะทำโครงการ เขตยานนาวา
ขายตารางวาละ 90,000 บาท HOT!!
6.HOT!!ขายที่ดิน 6 ไร่เศษ (ถมแล้ว)หน้ากว้าง 80 เมตร สวยมากๆ
ติดถนนวงแหวนอุตสาหกรรม ใกล้ถนนพระราม 3 แปลงนี้เหมาทำโครงการ
สร้างคอนโดสูง โชว์รูมและอาคารสำนักงาน เขตยานนาวา
ขายตารางวาละ 120,000 บาท NET.
------------------------------------------------------------------------------------------------------------------
1.ขายที่ดิน 3-1-11ไร่ ซอยพหลโยธิน 23 ทำเลดีมากๆ แปลงนี้เข้าซอยประมาณ
700 เมตร เป็นพื้นที่สีส้ม เหมาะปลูกบ้าน และคอนโดมิเนี่ยม เขตจตุจักร
ขายตารางวาละ 100,000 บาท
2.ขายที่ดิน3-3-27ไร่ (แปลงน้สวยมากๆ) ที่ดินหน้ากว้าง 80 เมตร พื้นที่สีส้ม
อนาตคมีรถไฟฟ้าผ่านแน่นอน ซอยพหลโยธิน 23 ใกล้โรงเรียนหอวัง
ใกล้เมเจอร์รัชโยธิน และโรงเรียนหอวัง แปลงนี้เหมาะสร้างคอนโดมิเนี่ยม โฮมออฟฟิต
และบ้านหรูๆ เข้าซอยไม่ลึก เขตจตุจักร ขายตารางวาละ 130,000บาท NET.
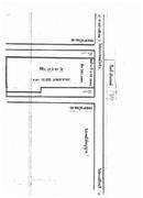
3.ขายที่ดิน 5-1-26 ไร่(ที่ดินหน้ากว้าง153เมตร) อยู่ถนนเกษตร-นวมินทร์ช่วงต่อขยาย
ทางหลวงหมายเลข351 เหมาะทำโชว์รูมทุกชนิด ร้านอาหาร หรือร้านตกแต่งรถยนต์
ค้าขายทุกชนิด เขตบึงกุ่ม ขายตารางวาละ 45,000บาท(มีผังและแผนที่โดยสังเขป)
4.ขายที่ดิน 929 ตารางวา ติดถนนเกษตร-นวมินทร์ (หน้ากว้าง 65 เมตร)สวยมากๆทำเลดี
เหมาะทำโชว์รูม คอนโดมิเนี่ยม อาคารสำนักงาน และเต้นท์รถยนต์ เยื้องๆโชว์รูมฮอนด้า
เขตลาดพร้าว ขายตารางวาละ 120,000บาท
5.HOT!ขายที่ดิน 190 ตรว.(ถมแล้ว)แปลงนี้จัดว่าสวยมาก และสิ่งแวดล้อมดีมาก
ติดถนนคอนกรีต 2 ด้าน เหมาะปลูกบ้าน อยู่ถนนประชาชื่น เข้าซอย 350 เมตร
ต้องการขายด่วน! ขายตารางวาละ 35,000 บาท
6.ขายที่ดิน11-3-77ไร่หน้ากว้าง158เมตร พื้นที่สีส้ม ถนนคอนกรีตกว้าง
อยู่ถนนบางนาตราด กม.ที่ 6 ใกล้โรงพยาบาลปิยมิทร์ ห่างถนนบางนา-ตราด 300 เมตร
สิ่งแวดล้อมดีมากๆ เหมาทำจัดสรร โรงแรม โรงเรียน และสนามไดร์ฟกอล์ฟ
อยู่เขตบางพลี จ.สมุทรปราการ ขายตารางวาละ 42,000 บาท HOT!!
***แปลงนี้ถมแล้วสวยมากๆ*** ต่อรองได้
7.ขายที่ดิน 2 ไร่ ยังไม่ได้ถม หน้ากว้าง 40 เมตร พื้นที่สีส้ม ถนนคอนกรีตกว้าง
อยู่ถนนบางนา-ตราด กม.ที่ 6 ซอยโรงพยาบาลปิยะมินทร์ เหมาะสร้างบ้าน
คอนโด อพาร์ทเม้นท์ และออฟฟิต สำนักงาน อยู่เขตบางพลี จ.สมุทรปราการ
ขายตารางวาละ 41,250 บาท (ไร่ละ 16.5 ล้าน) ค่อรองได้
8. ขายที่ดิน2-1-47ไร่ ถมแล้ว สวยมากๆ อยู่ถนนนวมินทร์ เข้าซอยประมาณ 50 เมตร
เหมาะทำอาคารพานิชย์ ทาวน์เฮ้าส์ สำนักงาน หรือปลูกบ้าน(ที่ดินหน้ากว้างประมาณ175เมตร)
ลึก 24 เมตร แขวงบึงกุ่ม เขตบางกะปิ ขายตารางวาละ 45,000 บาท ต่อรองได้
9.HOT!ขายด่วนที่ดินเปล่า 404 ตารางวา หน้ากว้าง 55 เมตร(ซอยแจ่มจันทร์)ถนนเกษตร-นวมินทร์
แขวงบึงกุ่ม เขตบางกะปิ เหมาะปลูกบ้าน อพาร์ทเม้นท์ ออฟฟิตโกดัง สำนักงาน
(แปลงนี้สวยมากๆ สิ่งแวดล้อมดี เข้า-ออกได้หลายทาง) ขายตารางวาละ 38,000บาทHOT!!
10.ขายที่ดิน 2ไร่ 27ตารางวา (ถมไป85%) อยู่ซอยลาดพร้าว 122 เหมาะปลูกบ้าน
อพาร์ทเม้นท์ และคอนโดมิเนี่ยม ทำเลดีมาก เขตบางกะปิ ขายตารางวาละ 50,000 บาท
11.ขายที่ดิน400 ตารางวา (ถมแล้ว) เข้าซอยลาดพร้าว 93/1 ไม่เกิน 100 เมตร
ขนาดที่ดินหน้ากว้าง 40X40 เหมาะปลูกอพาร์ทเม้นท์ สำนักงาน และปลูกบ้าน
ใกล้ฟูดแลนด์ลาดพร้าว เขตบางกะปิ ขายตารางวาละ 57,000 บาท
12.ขายที่ดิน32-1-25ไร่(ถมแล้วบางส่วน)ถนนรามคำแหง(สุขาภิบาล 3)
ที่ดินหน้ากว้าง 92 เมตรใกล้หมู่บ้านปรีชา เหมาะทำบ้านจัดสรร
แขวงสะพานสูง เขตบึงกุ่ม ขายตารางวาละ 29,000 บาท
13.ขายที่ดิน 8-3-74ไร่ ติดถนนรามคำแหง (สุขาภิบาล 3) ที่ดินหน้ากว้าง 56 เมตร
ใกล้ธนาคารกสิกรไทย เหมาะทำโชว์รูม ร้านวัสดุก่อสร้าง ปั๊มน้ำมัน และเต้นท์รถยนต์
แขวงสะพานสูง เขตบึงกุ่ม ขายตารางวาละ 55,000 บาท
14.ขายที่ดิน24-0-64ไร่ (หน้ากว้าง 62 เมตร) ลึก580 เมตร อยู่ถนนสายไหม ทำเลดี
เหมาะทำบ้านจัดสรร ถนนหน้าที่ดินกว้าง 16 เมตร เขตบางเขน ขายตารางวาละ 16,000บาท
15.ขายที่ดิน12-2-54ไร่ (ถมแล้วบางส่วน) ที่ดินหน้ากว้าง 80 เมตร ถนนสุขาภิบาล3
ซอยมิสทีน (เข้าซอยไม่ลึก) ที่ดินแปลงนี้สวยมากๆ เหมาะทำบ้านจัดสรร สนามไดร์ฟกอล์ฟ
สนามฟุตบอลหรือสนามกีฬาให้เช่า เขตบึงกุ่ม ขายเหมา 130 ล้านบาท(ตรว.ละ25,723บาท)
16.ขายที่ดิน 27 ไร่ ยังไม่ถม((หน้ากว้าง164เมตร ติดถนนราษฏร์พัฒนา)) เข้าตรงซอยมิสทีน
ถนนนสุขาภิบาล 3(ถนนนี้กว้าง 16 เมตร) เยื้องห้างคาร์ฟูร์ และการเคหะร่มเกล้า
เลยสำนักงานที่ดินบึงกุ่มไปประมาณ 1 กม.เศษ ตำบลคลองสองต้นนุ่น
อ.ลาดกระบัง กทม. เหมาะทำบ้านจัดสรร ขายไร่ละ 8 ล้านบาท
17.ขายที่ดิน 380 ตารางวา(ถมแล้ว)สวยมากๆ สิ่งแวดล้อมดี ซอยสังคมสงเคราะห์ 6
(ซอยจักรกฤษ10 เดิม)อยู่ถนนลาดพร้าว ซอย71ใกล้ถนนเลียบทางด่วนเอกมัย-รามอินทรา
ใกล้ห้างTESCO LOTUS และโฮมโปร เหมาะปลูกบ้านและทำออฟฟิต เขตลาดพร้าว
ขายเหมา 20 ล้านบาท(ตารางวาละ52,631บาท) ต่อรองได้นิดหน่อย แปลงนี้สวย
(มีแผนที่)
18.HOT!!ขายด่วนที่ดิน 643 ตารางวา ถนนเกษตร-นวมินทร์ ซอยแจ่มจันทร์ เข้าซอยไม่ลึก
เหมาะปลูกบ้าน ทำหอพักหรือบ้านเช่า โกดังหรือออฟฟิต อู่ซ่อมรถยนต์
แขวงบึงกุ่ม เขตบางกะปิ ขายตารางวาละ19,000 บาท HOT!!(แปลงนี้ถูกมากๆ)
19.ขายที่ดิน 35 ไร่ (หน้ากว้างติดแม่น้ำนครชัยศรี 200 เมตร) สวยมากๆ
เหมาทำโฮมสเตรย์ หรือโครงการบ้านพักคนชรา ทำรีสอร์ท (ไม่แบ่งขาย)
อ.นครชัยศรี จ.นครปฐม ขายไร่ละ 3,000,000 บาท NET.
20.ขายที่ดิน 3-2-20ไร่ (ถมแล้ว) ซอยวัชรพล ใกล้วัดศิริพงษ์ ใกล้ตลาดถนอมมิตร
ใกล้เสถียรธรรมสถาน เหมาะปลูกบ้าน สร้างอพาร์ทเม้นท์ ออฟฟิตและโกดัง
หรือทำทาวน์เฮ้าส์โครงการเล็กๆขาย หรือร้านอาหารและค้าขายทุกชนิด
เขตบางเขน ขายตารางวาละ 35,000บาท
สนใจโทร : 088-8726114, 081-9072032 คุณตุ๊ก <งดนายหน้า>
![]() | ![]() | ![]() | |||
![]() | ![]() |
| ราคา: | น่าสนใจ 26 รายการ"คลิ๊ก"ดูรายละเอียดด้านในค่ะโปรด | ต้องการ: | ขาย/ให้เช่า/แลก | ||
| ติดต่อ: | ตุ๊ก | อีเมล์: | |||
| สภาพ: | ใหม่ | จังหวัด: | กรุงเทพมหานคร | ||
| โทรศัพย์: | 088-8726114, 081-9072032, | IP Address: | 111.84.134.101 | ||
| คำค้น: | |||||





