อาคารพาณิชย์ สุขุมวิท 105 ขายถูกอาคารพาณิชย์ริมถนน ทำเลดี เข้าออกได้หลายทาง ใกล้รถไฟฟ้า ราคานี้พิเศษสุดๆ
ขายถูกอาคารพาณิชย์ริมถนน ทำเลดี เข้าออกได้หลายทาง ใกล้รถไฟฟ้า ราคานี้พิเศษสุดๆ
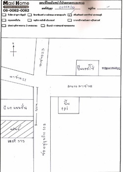
ชื่อทรัพย์สิน: อาคารพาณิชย์ สุขุมวิท 105
พื้นที่: 22 ตร.ว. ราคา: 2,400,000 บาท
ที่ตั้ง: แขวงบางนา อ.บางนา จ.กรุงเทพมหานคร
รายละเอียดทรัพย์สิน
4.5 ชั้น 1 ห้องน้ำ 1 ห้องครัว 1 ที่จอดรถ
ใกล้สถานที่ศึกษา
ร.ร.นานาชาติบางกอกพัฒนา/ร.ร.นานาชาติเบิร์คลีย์ บางนา/ไบเทคบางนา/เซ็นทรัลบางนา/ร.พ.บางนา/รถไฟฟ้า BTS
http://www.maxihome.co.th/content/property.asp?propid=1042
http://www.facebook.com/pages/maxi-Home-rab-fak-khay-xsanghavimthraphy-fri/175718669126101
![]() | ![]() | ![]() | |||
![]() |
| ราคา: | 2,400,000 | ต้องการ: | ขาย/ให้เช่า/แลก | ||
| ติดต่อ: | ศักรินทร์ แสนสะอาด | อีเมล์: | |||
| สภาพ: | มือสอง | จังหวัด: | กรุงเทพมหานคร | ||
| โทรศัพย์: | 0869788030 | IP Address: | 125.24.246.33 | ||
| คำค้น: | ชุดเบญจภาคี ภ.ป.ร. เฉลิมพระเกียรติ ฉลองสิริราชสมบัติครบ 60 ปี | | ||||




